Prodej zahrady, Česká Třebová, 3011 m2 (ID: 1957608)
Česká Třebová
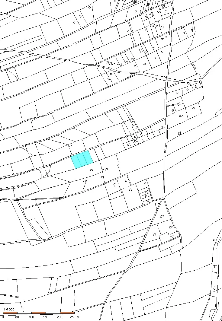
Popis
K prodeji tři samostatné parcely 3011 m2.
Parcelní číslo - p.č. 944/9, o výměře 1004 m2, druh pozemku zahrada. Parcelní číslo - p.č. 944/10, o výměře 1004 m2, druh pozemku zahrada. Parcelní číslo - p.č. 944/11, o výměře 1004 m2, druh pozemku zahrada. A to vše se nachází v katastrálním území Česká Třebová, obec Česká Třebová, okres Ústí nad Orlicí a je zapsáno u Katastrálního úřadu pro Pardubický kraj, Katastrální pracoviště Ústí nad Orlicí na LV č. 1672. Kupní cena 820.000,-Kč
Máte zájem o tuto nemovitost?
Denisova 585, Jičín, Valdické Předměstí
Pomůžeme Vám!
Pomůžeme Vám!
Kontakt

Jan Babák
Přihlášení k odběru
Nenechte si ujít nejnovější nabídky prodeje zahrad v České Třebové.
Podobné nabídky

Prodej zahrady, Česká Třebová, 334 m2
380 000 Kč

Prodej zahrady, Petrovice, 491 m2
395 000 Kč

Prodej zahrady, Dolní Dobrouč, 717 m2
329 000 Kč