Prodej pozemku, Železná Ruda - Hojsova Stráž, 4029 m2 (ID: 1896830)
Železná Ruda, Hojsova Stráž
(včetně provize RK)
Popis
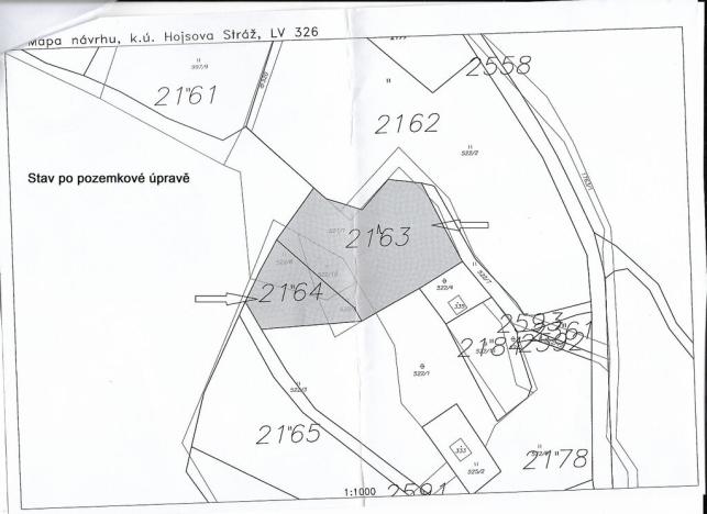
Nabízíme prodej dvou pozemků u Brčálníku na Šumavě v k.ú. Hojsova Stráž o celkové velikosti 4029 m² . Probíhající Pozemkovou úpravou bude vlastnická hranice obou pozemků změněna tak, aby celková výměra pozemků v součtu zůstala a měla využitelnější tvar pro užívání a i vůči nově vybudovaným příjezdovým cestám v rámci Pozemkových úprav ( v obrázku čeveně). Pozemky vzniknou jako p.č. 2163 (nové parc.číslo) – druh pozemku ostat.plocha se způsobem využití jiná plocha a jako p.č.2164 (nové parc.číslo) – druh pozemku trvalý travní porost. Elektřina je v dosahu. Pozemky se nachází na lukrativním místě nedaleko od příjezdové komunikace a železnice se zastávkou Brčálník s krásným výhledem na zalesněný horský, hraniční pás, nedaleko obce Hojsova Stráž a Černého jezera. Doporučuji.
Máte zájem o tuto nemovitost?
Farského 763/17, Plzeň
Pomůžeme Vám!
Pomůžeme Vám!
Kontakt

Zdeněk Karel
Přihlášení k odběru
Nenechte si ujít nejnovější nabídky prodeje pozemků v Železné Rudě.