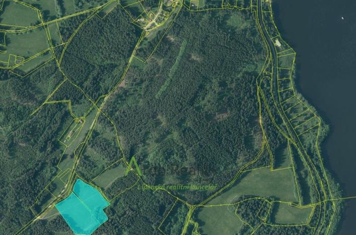
Prodej louky, Přední Výtoň, Frýdava, 23943 m2
Frýdava, Přední Výtoň
(včetně provize)
Výkup a prodej starého nábytku
Popis
Nabízíme Vám soustavu dvou pozemků na prodej nedaleko Frýdavy, v katastrálním území Přední Výtoň. S rozlohou celkem 23.943 m² se jedná o prostorný pozemek ideální pro obhospodařování. Tato rozlehlá louka nabízí klid v blízkosti přírody. Pozemek je obklopen lesem a krásnou přírodou. Vzhledem k jeho velikosti a výhodné poloze je tato nemovitost jistě investicí do budoucnosti. Celková cena je tedy 4.788.600,- Kč.
Pozemky se nacházejí jen několik metrů od značky Frýdava, jak je vidět na jednom ze snímků. Nedaleko jsou také nejbližší stavení. Cesta, která vede okolo, je oblíbenou stezkou pro pěší i cyklisty, kteří tudy míří na Svatý Tomáš a dále na Vítkův Hrádek. Někdy se říká též Vítkův kámen, což je zřícenina gotického hradu na vrcholu stejnojmenné hory na pravém břehu Lipenské přehrady, který zde stál již na konci 13. století. Jedná se o nejvýše položenou zříceninu v naší zemi a proto je zde nádherný výhled.
Máte zájem o tuto nemovitost?

Frymburk 245, Frymburk
Pomůžeme Vám!
Pomůžeme Vám!
Kontakt

František Ardó
Přihlášení k odběru
Nenechte si ujít nejnovější nabídky prodeje louk v Přední Výtoni.
Tipy Realitymatu