Prodej lesa, Vysočina, 26720 m2
Vysočina, Rváčov u Hlinska
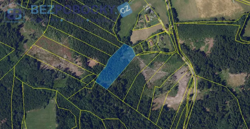
Popis
Nabízíme k prodeji lesní pozemek o celkové výměře 26 720 m², nacházející se v malebné lokalitě část obce Rváčov u Hlinska, v okrese Chrudim, těsně v rámci atraktivního regionu Vysočina.
Tento lesní pozemek představuje unikátní investiční příležitost pro osoby a subjekty hledající perspektivní místo s možnostmi rozvoje. V lese převažují smrkové porosty s menším zastoupením bukových porostů a dalších, stáří cca 40 let.
Parcela č. 600/5, lesní pozemek o výměře 8734 m2
Parcela č. 600/12, lesní pozemek o výměře 8139 m2
Parcela č. 600/11, lesní pozemek o výměře 96 m2
Parcela č. 152, lesní pozemek o výměře 9031 m2
Parcela č. 1221, lesní pozemek o výměře 720 m2
Máte zájem o tuto nemovitost?

Znojemská 2716/78, Jihlava
Pomůžeme Vám!
Pomůžeme Vám!
Kontakt

Zdeňka Hospodková
Přihlášení k odběru
Nenechte si ujít nejnovější nabídky prodeje lesů v Vysočině.