Pronájem výrobních prostor, Děčany - Solany, 500 m2

Solany


65 000 Kč /za měsíc
Získejte výhodnou HYPOTÉKU
Regionální dodavatelé v Děčanech

Okna a dveře

Rekonstrukce

Popis

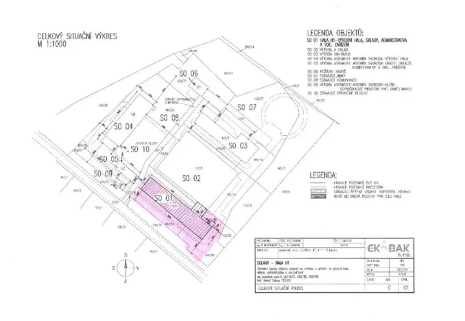
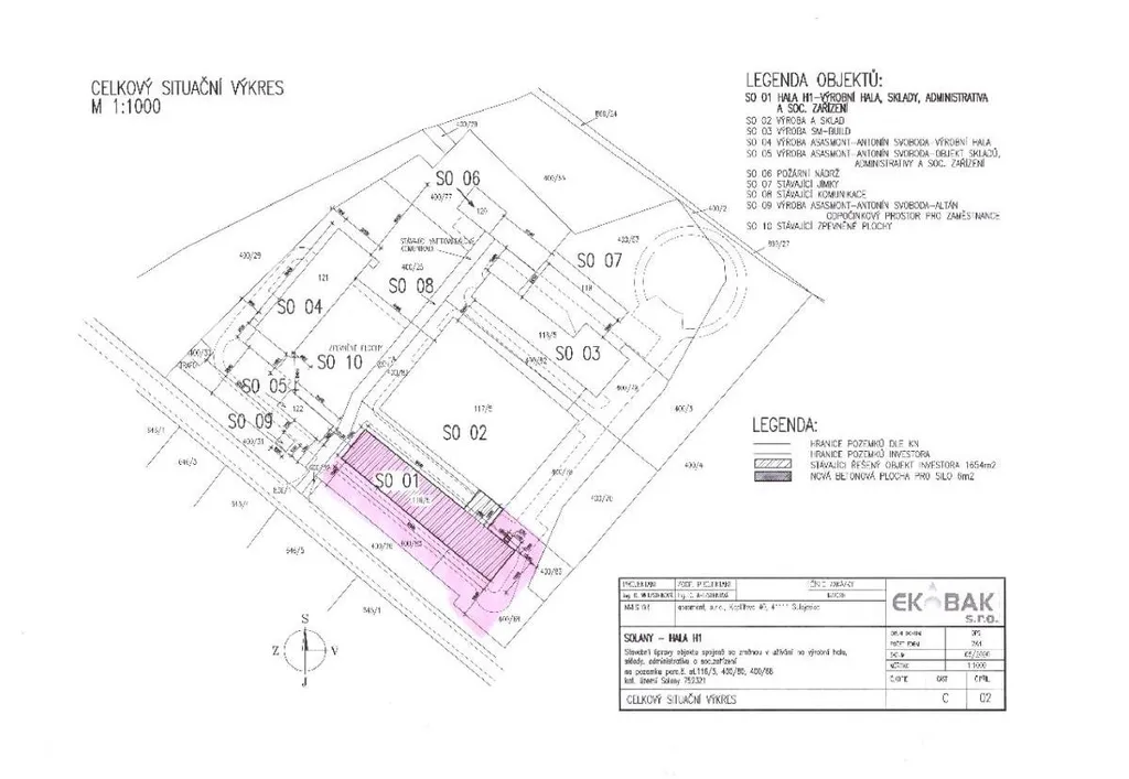
Nově v naší nabídce naleznete k pronájmu velký skladový a výrobní areál v klidné lokalitě obce Solany, která se nachází nedaleko Třebívlic. Celý komplex k pronájmu je nově zrekonstruovaný a zateplený PUR pěnou. Vnitřní prostory areálu disponují velikostí 500 m2.

Hala k pronájmu je součástí většího komplexu, který se nachází u příjezdové cesty. Objekt má celkově 4 vstupní vrata pro větší osobní a nákladní vozidla a celkově 4 samostatné a vzájemně propojené haly. Objekt má nová plastová okna a nově vyhotovené betonové podlahy, jedná se o dřevostavbu.

Objekt dále disponuje sociálním zázemím, v interiéru je možné bez problému vybudovat několik větších kanceláří pro vedení firmy. V jedné hale naleznete i nový ramenový (stranový) jeřáb. V další hale se nachází např. hydraulický zvedák na automobily, který je určený pro servis či opravy vozidel. U areálu lze bez problému zaparkovat vozidla všech svých pracovníků či vedení společnosti.

Skladový a výrobní areál má dostupné všechny potřebné inženýrské sítě (elektřina 230 V, elektřina 400 V a voda). Celý komplex je vytápěný. Skladový a výrobní komplex je ve velmi dobrém stavu a majitel objektu je otevřený menším interiérovým úpravám v hale. Celá projektová dokumentace je k dispozici na vyžádání. Pro více informací při zájmu o pronájem neváhejte kdykoliv kontaktovat realitního makléře.

Cena
65 000 Kč /za měsíc
Aktualizováno
3. 3. 2026
Adresa
Solany
ID
370
Stavba
Dřevěná
Stav objektu
Po rekonstrukci
Typ objektu
Přízemní
Užitná plocha
500 m2
Třída energetické náročnosti
A - Mimořádně úsporná
Elektřina
230V, 400V
Odpad
Veřejná kanalizace
Telekomunikace
Telefon, Kabelové rozvody, Ostatní
Doprava
Vlak, Dálnice, Silnice, Autobus
Voda
Vodovod
Bezbarierový přístup

Máte zájem o tuto nemovitost?

Tímto, v souladu s nařízením Evropského parlamentu a Rady (EU) 2016/679, v platném znění, prohlašuji, že mi je alespoň 16 let a uděluji tak svůj souhlas se zpracováním zadaných údajů (jméno, telefon, e-mail, ip adresa) společnosti B3 Technology, s.r.o., IČ: 07330600, se sídlem Novostavby 126/23, 435 11 Lom (správce dat), za účelem předání dotazu z tohoto formuláře Vámi vybranému inzerentovi a zpětného kontaktování mé osoby. Osobní údaje bude správce zpracovávat manuálně i automaticky přímo prostřednictvím svých zaměstnanců. Informace předané tímto formulářem budou uloženy v databázi správce maximálně po dobu 10 let. Odvolání souhlasu s uložením a zpracováním poskytnutých dat lze e-mailem na info@realitymat.cz. V případě podezření na neoprávněné použití Vámi poskytnutých údajů máte právo předat podnět k šetření Úřadu pro ochranu osobních údajů. Více informací
Chystáte se prodat nemovitost?
Pomůžeme Vám!

Kontakt

Mgr. Miroslav  Pokorný

Mgr. Miroslav Pokorný

Přihlášení k odběru

Nenechte si ujít nejnovější nabídky pronájmu výrobních prostor v Děčanech.

Podobné nabídky